|
うさぎの骨は簡単に骨折します。俊敏な動きを維持するために、骨が非常に軽く出来ているのですが、そのために強い衝撃を受けるとあっさり折れてしまいます。
だっこしていて落下したときにも折れますし、びっくりしてパニックに陥り、ケージの金網に足が挟まったり、あるいはケージを蹴り上げた衝撃などで勝手に折れてしまうこともあります。
一度、骨折すると直るのに非常に時間がかかります。イヌ、ネコの倍の時間はかかると言われています。それは骨折して逃げることの出来ないうさぎは直るまでに生きていけないので、体が直そうとしないと思います。
骨折する場所は太股の骨(大腿骨)、すねの骨(頸骨)、背骨(脊椎)です。後ろ足の力が強いために起こります。足の骨の場合、骨の中に金属の棒(ピンニング)やプレートで固定をして外側から固定をして、動かないようにケージに入れておきます(ケージレスト)。1ヶ月から2ヶ月ぐらいかかると思ってください。
脊椎骨折
これは骨折の痛みなどが原因で歩き方がおかしくなるのではなく、背骨の中を通る脊髄(神経)がダメージを受け、下半身麻痺になり、ひどいときには尿や便まで自力でするのが困難になることがあります。骨折部位によっては下半身麻痺だけでなく、前足も不自由になることすらあります。
うさぎの骨折は注意深い日常の管理によって予防する事が出来ます。うさぎを故意に投げたり、高いところから落としたり、無理矢理押さえつけたりしてはならないことを十分に心がけることです。

うさぎ、踵の骨折、骨髄内にピンをいれて固定。

関節に近い骨折だと固定が関節ごと固定するので稼動域が狭くなりやすい。

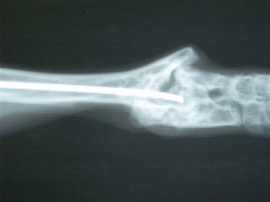
右頚骨の骨端線で骨折。

エポキシパテと髄内ピンで整復して固定



Asakayama Animal
Hospital Web Page , since 2001.11.14
Copyright(C)2001 Asakayama Animal Hospital.
All rights reserved.
|
This page maintained
by Hiroshi Nakatsu,DVM. |
|
|