ウサギの骨盤骨折
ウサギは後ろ足の力が強く、骨も軽くできているので骨折しやすい。
野生において骨折した場合は肉食動物にすぐ補食されるので、骨折を治そうという力が余りありません、犬と比べても倍以上の時間がかかります。

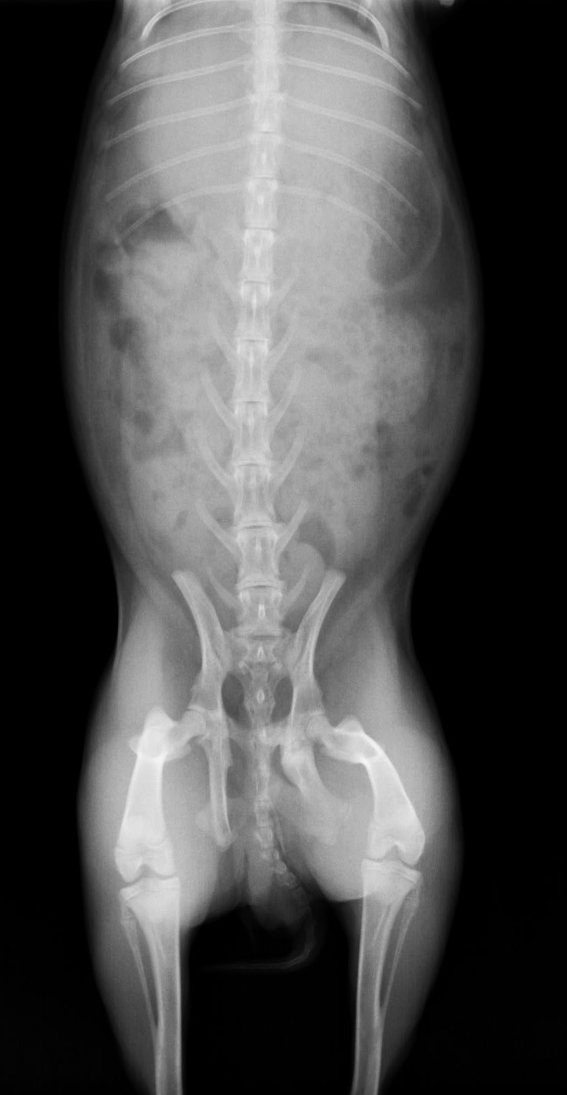
この症例は骨盤を骨折しており、左骨盤腸骨の股関節の下が骨折しています。また恥骨結合側も骨折してる。
骨端線がはっきりしているので成長期のウサギということがわかります。
比較的変異が少ない場合手術固定するよりもそのまま安静にする方が結果としてよい場合があります。
他の合併症(出血や内臓の障害)に注意します。
骨折の場所が内側に入り込んでいるので完治するまでにもう少し内側に入りこむと思われます。
その場合便秘、排尿障害、雌の場合は出産困難などが考えられます。

1ヶ月後のレントゲン写真
骨盤の亀裂がふさがって肥厚して、内側に入り込んでいるのがわかります。
ウサギの糞は比較的小さいのでこれぐらいの狭窄であれば問題ないでしょう。出産困難になる場合がありますので妊娠は避けた方がよいです。歩行も問題ないと思われます。