SPACE

慢性の咳

浅香山
動物病院

 

 14歳 犬 ビーグル
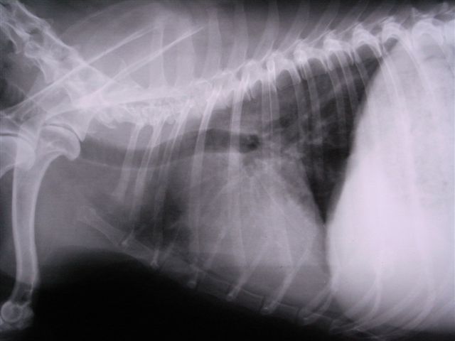
心臓の上部にしこり3cm大が確認できる そのため気管が蛇行している。気管の分岐部より後方は肺炎像がみられる。
以前から咳をしていたが2,3日前より急に激しくなった

治療
酸素吸入、抗生剤、ネオフィリン、利尿剤、ステロイド剤で咳の安定化を図った


2日後のレントゲン像

気管の蛇行は見られるが肺後部の肺炎像は小さくなった。
咳もほとんどしなくなった

現在、抗生剤、ステロイド剤で維持できている。


   ←BACK ↑TOP →INDEX